Featured Image 4599
Featured Image 4599

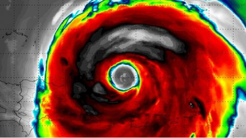
El "extremadamente peligroso" huracán Irma sube a categoría cinco

Es el cuarto de la temporada ciclónica en el Atlántico, presenta vientos máximos sostenidos de 175 millas por hora (280 km/h).

Redacción AH


El Gobierno de Barbados ha emitido un aviso de tormenta tropical para Dominica y hay un aviso de huracán (paso del sistema en 24 horas) para las islas de Antigua, Barbuda, Anguila, Montserrat, San Cristóbal y Nieves


El huracán Irma subió hoy a categoría 5, la máxima en la escala de intensidad Saffir-Simpson, mientras continúa su desplazamiento rumbo a las Antillas Menores, en el Caribe, informó el Centro Nacional de Huracanes (NHC) de EE.UU.

El "extremadamente peligroso" huracán Irma, el cuarto de la temporada ciclónica en el Atlántico, presenta vientos máximos sostenidos de 175 millas por hora (280 km/h) y se encuentra a 270 millas (440 kilómetros) al este de Antigua y a 280 millas (445 kilómetros) al estesureste de Barbuda, en las Antillas Menores.


Se desplaza hacia el oeste con una velocidad de traslación de 14 millas por hora (22 km/h), indicó el NHC en un boletín especial.

Se espera que mantenga hoy esta trayectoria seguida de un giro hacia el oeste-noroeste esta noche, por lo que el vórtice de Irman se mueva cerca o sobre partes del norte de las Antillas Menores esta noche y temprano en la mañana del miércoles.

El Gobierno de Barbados ha emitido un aviso de tormenta tropical para Dominica y hay un aviso de huracán (paso del sistema en 24 horas) para las islas de Antigua, Barbuda, Anguila, Montserrat, San Cristóbal y Nieves; así como para las islas de Saba, San Eustaquio y Saint Martin, Saint Barthelemy, Las Islas Vírgenes británicas y las Islas Vírgenes de EE.UU., Puerto Rico, Vieques y Culebra.

Y está en efecto una vigilancia de huracán para Guadalupe y Dominica.

El ciclón pasó en la mañana del jueves directamente de tormenta tropical a huracán de categoría 2 y rápidamente se transformó en un huracán mayor, al subir a categoría 3 en la escala de intensidad de Saffir-Simpson, de un máximo de 5.

La primera tormenta tropical de 2017 fue Arlene, que se formó en abril pasado en mitad del Atlántico, más de un mes antes del comienzo de la temporada.

A esta siguieron Bret, Cindy, Don, Emily y Franklin, que se convirtió en el primer huracán de la temporada, luego Gert, el segundo huracán, Harvey, que alcanzó la categoría 4, y ahora Irma, que ha alcanzado la categoría 5, la máxima.