El huracán María llega a Guadalupe, y San Martín y San Bartolomé ya están en alerta roja

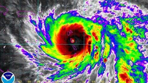
El huracán María sacude hoy el archipiélago francés de Guadalupe, en particular el sur, donde las autoridades han pedido a la población que permanezca confinada

Featured Image 5017
Featured Image 5017
Redacción AH

El huracán María sacude hoy el archipiélago francés de Guadalupe, en particular el sur, donde las autoridades han pedido a la población que permanezca confinada, al tiempo que decretaron la alerta roja en otras dos islas francesas más al norte en el Caribe, las de San Martín y Bartolomé.

Según un boletín de alerta violeta para Guadalupe de Météo France, el momento álgido del paso del huracán estaba programado hacia las 07.00 GMT. En el sur se esperan vientos de 180 kilómetros por hora, con ráfagas de 220 kilómetros por hora o incluso superiores, durante varias horas.

Como las olas debían superar los 10 metros de altura, el servicio meteorológico francés advirtió de que era probable que hubiera "sumersiones localizadas" en puntos de la costa.
La prefectura (delegación del Gobierno) ha pedido a la población que escuche las previsiones meteorológicas, que se mantenga al abrigo y que no salga "bajo ningún pretexto".

El huracán, que a primera hora de la noche se había acercado a otra isla francesa más al sur, la Martinica, no causó allí más que daños materiales limitados, según los primeros datos comunicados por la prefectura, que indicó que 33.000 hogares se habían quedado sin electricidad.

Como las olas debían superar los 10 metros de altura, el servicio meteorológico francés advirtió de que era probable que hubiera "sumersiones localizadas" en puntos de la costa.

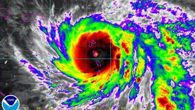
En cuanto a San Martín y San Bartolomé, que sufrieron destrucciones catastróficas con el paso de Irma, Météo France hizo notar en su boletín de vigilancia roja para esos territorios que entre esta tarde y mañana por la mañana habrá vientos de 80 a 90 kilómetros por hora, con ráfagas de 120-140 kilómetros por hora y olas de 6 a 7 metros.
Además, se calcula que las lluvias podrían superar los 100 litros por metro cuadrado.

La prefectura pidió allí a los habitantes que se protejan de los abundantes escombros que hay todavía en las calles por Irma, que consoliden lo mejor que puedan sus casas, que se protejan en "los refugios más seguros" antes de la llegada del ciclón y que se alejen de las costas y de los barrios inundables.